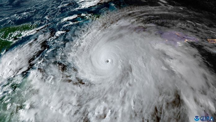
Εκτεταμένες ζημιές προκάλεσε ο κυκλώνας Μελίσα στην Κούβα σήμερα, αφού προηγουμένως είχε πλήξει σφόδρα την Τζαμάικα.
Ο Πρόεδρος της Κούβας, Μιγκές Ντίαζ-Κανέλ, με ανάρτησή του στα Μέσα Κοινωνικής Δικτύωσης, κάλεσε τους κατοίκους «να είναι σε επιφυλακή, να είναι πειθαρχημένοι και να παραμείνουν σε ασφαλές καταφύγιο».
Ο κυκλώνας έφτασε στις νότιες ακτές του νησιωτικού κράτους της Κούβας το βράδυ, με τη χώρα να κηρύσσει σε «κατάσταση συναγερμού» έξι επαρχίες της στα ανατολικά.
Ο τυφώνας Μελίσα εκτιμάται ότι είναι η πιο έντονη καταιγίδα που έχει φτάσει ποτέ στην ξηρά από το 1935, σύμφωνα με ανάλυση του Γαλλικού Πρακτορείου Ειδήσεων, βάσει μετεωρολογικών δεδομένων από την Εθνική Υπηρεσία Ωκεανών και Ατμόσφαιρας των ΗΠΑ.



